最近几天,美国东海岸的居民们都在关心一个叫做Dorian的飓风:
这个被称为“地表最强飓风”的Dorian,从目前来看是自1935年以来美国所遭遇的最强地表飓风,已经被认定为五级飓风(最高就是五级)。
同时,它也是史上从四级飓风增长到五级飓风这一过程耗时最短的风暴。
还没正式登陆,就让整个东海岸瑟瑟发抖。

佛罗里达、北卡、南卡、佐治亚州的多个县都进入了紧急状态,政府对佛州一些可能会正面迎接风暴的危险地区居民进行了强制撤离,南卡和佐治亚州的部分地区居民也从周一开始陆续撤离。
按照这个撤离计划,大概会有83万居民需要离家躲避Dorian,大约超过2000万的美国东部沿海居民将受到这次风暴的影响。

目前,美国海洋气象局预测Dorian带来的风暴潮可能会使水位升高至少6米,最大持续风速将在290公里每小时。(185英里每小时)
如果按照登陆的风速来看,能够与之匹敌的飓风,往前数一百年也就三个。

虽然目前来看Dorian有可能向北移动,避开直接登陆东部沿海;
但老天爷的事情,也很难完全说得准,人们只能按照最坏的结果来提前做准备。
就算Dorian最后只是掠过东部海岸,也会带来非常危险的强降雨、强风,造成大规模的破坏。

目前,Dorian已经经过了美国的巴哈马群岛,图片中黑线勾勒出来的部分就是受Dorian笼罩的岛屿:

飓风带来的强降雨、大风,已经掀翻了大量沿海房屋的屋顶。



对于一些海边小镇来说,街道和大海界限已经模糊不清,
很多居民都被政府相关部门用船只运送到巴哈马群岛的大岛上避难。
一些地势低洼的小镇,已经完全被淹没在水下了。


虽然各方面都在积极应对,不幸的是,已经有一位7岁的小男孩在这次风暴中溺水身亡。
美国国家安全委员会也发布警告,敦促居民在避难所里躲避,切勿因为风眼路过时的一时平静而放松警惕,风暴潮已经让潮汐水位涨高了近6米,海浪的破坏性是致命的。

巴哈马岛政府官员表示,从风速上来说,Dorian已经是一个怪物了,很多岛民可能这辈子都没见过这样强大的飓风,千万不能掉以轻心。

为了让人们更直观地感受到Dorian的强大,美国国家海洋气象局还发布了一个视频:
空军飞机穿过Dorian的云层,来到了Dorian的风眼处:


极目远眺,风眼像是能吞下一整座城,无比壮观!

从NASA发布的太空视角图片来看,Dorian真的是有摧枯拉朽将小城拔地而起的能力:

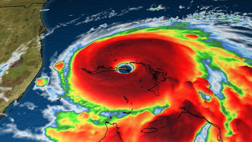
气象台发布的飓风强度效果图,看起来也让人瑟瑟发抖:

在这样的飓风面前,即使处于非撤离地带的佛州人民,也开始早早地做准备。
为了避免强风将房屋玻璃吹垮,全都用木板加固一层:


怕木板不够坚强的,用铁板来加固:

担心风暴可能会带来的电力断供,提前部署各种能够应急供电的装备。

做好短期内日常用品、生活能源出现短缺的准备,提前到超市采购必需品已经成了应对飓风的必备环节,各大超市门口也排起了很多人:

能搬的全部搬空..

防洪的沙袋也是必需品:
更有组织在网上贴出了一份十分详细的应急包清单,居民可以参照上面的不同类别去准备:

不过,对于人们来说,在做好充足准备后,即便是这样威力强劲到令人瑟瑟发抖的飓风,也是可以吐槽和调侃的。
比如,有网友把Dorian拿来和木星上的最大风暴做对比:
和太阳系最大的木星大风暴放在一起,虽然很小但还是能看到,
地球最强风暴之一,不愧是Dorian…

也有网友为了让大家直观地知道五级飓风是什么概念,贡献出了珍藏已久的猫片:

也有人“提醒”大家飓风是个严肃的事情,请不要在网上发相关信息的时候,把自己去巴哈马群岛度假的自拍也一并发出来…

还有人用3D图片向大家展示了,Dorian登陆后强降雨和洪水淹没了佛州沿海的一些度假胜地的样子…
比如,川普所持有的海湖庄园(Mar-a-Lago Club)淹没后的样子…
嗯,是真正的海湖庄园了

是川普在新闻发布会中所说的,“看起来真的很危险”的飓风了:

不过,很多人心态比较淡定,在暴风雨来临前依然过着自己岁月静好的日子。

棕榈滩,该跑步还是跑步:

该冲浪还是冲浪:

晒太阳的继续晒太阳:

吹海风的继续吹海风….

看着即将到来的暴风雨,内心丝毫不慌:

但到了周天时候,迈阿密的部分地区已经被洪水淹没了,居民也为此提前撤离。

或许是对飓风的预测和应对工作已经相对成熟,Dorian的出现和到来并没有让人们过于意外。
这样极端的气候在近些年似乎越来越频繁,全世界各个地区出现了各种“历史性”的气候现象,大家已经对各种“几十年不遇”、“百年不遇”、“新记录”见怪不怪了。
就像这个网友说的,曾经课本上学到的,全球气候变化带来的极端气候现象,已经越来越频繁了:
“我在地理学课上学到的一件事就是随着气候变化,自然灾害和风暴变得异常强烈,而且出现的频率更高。
这是2005年出版的一本书…所以,你们还对Dorian的威力感到奇怪??!”

希望飓风影响区域的居民都能平安无事,也希望关注这次风暴的人们今后也能多多关心全球的气候变化…
ref:
https://www.dailymail.co.uk/news/article-7417607/South-Carolina-orders-evacuation-MILLION-people-coastline-Dorian-barrels-US.html
https://twitter.com/hashtag/Dorian?src=hashtag_click
https://www.nbcnews.com/news/weather/dorian




